SRTM: Shuttle Radar Topography Mission

The Shuttle Radar Topography Mission (SRTM) data products result from a collaborative mission by the National Aeronautics and Space Administration (NASA), the National Imagery and Mapping Agency (NIMA), the German space agency (DLR) and Italian space agency (ASI), to generate a near-global digital elevation model (DEM) of the Earth using radar interferometry.


The SRTM data flight in February 2000 collected 12 terabytes of raw data which is being processed into digital elevation maps.


Scientists at NASA's Jet Propulsion Laboratory, Pasadena, California, U.S.A., are processing this high-resolution topographic data with the mission of creating the world's best topographic map.

Figure 1: SRTM data compared to GTOPO30

SRTM data is distributed in two levels: SRTM-1 (USA only ) with data sampled at 1 arc-second intervals in latitude and longitude, and SRTM-3 (for rest of the World) sampled at 3 arc-seconds.

The original digital elevation data is unedited and was intended for scientific use and evaluation. For example it may contain numerous voids (areas without data), water bodies may not appear flat, and coastlines may be ill-defined.

Original data sets are available either from the USGS server:

ftp://edcsgs9.cr.usgs.gov/pub/data/srtm/

or from JPL at

ftp://fringe.jpl.nasa.gov/sipub/SRTM_Data/   

MadMappers 'SRTM-3 Mad' Data File Structure and format

The original data had the following limitations:

  1. Contains numerous voids (regions with no data) and other spurious points such as anomalously high ("spike") or low ("well") values.
  2. Coastlines of water bodies are typically not well delineated and may not appear "flat".
  3. Elevations are given relative to the WGS84 ellipsoid or to the reference surface that was used to measure ground control points and not relative to the WGS-84 geoid as it is required for conformance with international mapping accuracy standards.

www.madmappers.com  has attended to some of the limitations mentioned in point 1. and has produced a corrected set for the African continent.

SRTM-3 data is sampled at three arc-seconds intervals in latitude and longitude (in practical terms roughly equivalent to a 90m grid) and published into 1x1 degree latitude and longitude tiles in WGS84 "geographic-lat/lon" projection, a projection easy to manipulate and mosaic.

Void-filling was achieved by an extrapolation method. This method is satisfactory for filling smaller voids but has obvious limitations for extremely large voids such as those present in equatorial regions. Furthermore the method does not fully address voids at the edge of a tile.

File format is the standard SRTM .hgt format. Files are in a compressed format.

File names refer to the latitude and longitude of the lower left corner of the tile

- e.g. S33E25_Mad has its lower left corner at 33 degrees South latitude and 25 degrees East longitude. Suffix "Mad" has been used to differentiate this set from the original data.

Feel free to contact maurizio@madmappers.com for further assistance or to point out anomalies which might require further processing.

Comparing Datasets

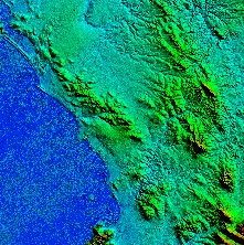
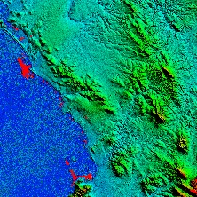
Void filling is the main feature of the SRTM-3 Mad Set. In the comparison below tile S43E018.hgt of the unprocessed Standard Set, located the Table Bay region of Cape Town, South Africa, clearly shows elevation anomalies illustrated as large red patches. These elevation voids have been replaced by extrapolated values in the SRTM-3 MadMappers Set.

Standard Set (S34E018.hgt)

Madmappers Set (S34E018_Mad.hgt)

Elevation irregularities over water bodies and ill-defined coastlines remain uncorrected.

Future Dataset Developments

In the months to come MadMappers is to undertake two major tasks:

  • Compilation of a new SRTM-3 dataset by removing irregularities along coastlines and large water bodies. This is to be achieved by using high definition vector data and will enhances dramatically data quality, making it ideal for 3-Dimensional mapping (see example on the right).

    In addition identified anomalies are to be corrected by using both traditional DET data and DEMs from high-definition satellite imagery.

    Processing will take place according to user's requirements.

  • Compilation of the first 25m vector contour map of the African continent.

MdF Set (S34E018_MdF.hgt)


  Users

A SRTM index map (ozf2 format) is available.

Files must be un-zipped for use in Oziexplorer and Ozi3D. The Oziexplorer Help Menu contains detailed set-up instructions: 

Using the Data

·         The files have a .zip extension indicating they are a compressed file. A program called oziUnGzip.exe is supplied with OziExplorer3D which can uncompress these files.

·         Run the oziUnGzip program and select the file (or files) you want to extract, they will be extracted to the same folder as the compressed file. Note - You must use version 1.1 of the oziUnGzip program (the version is in the program caption - version 1.0 does not display a version number).

·         The file extracted will have the extension .hgt.  Important - Do not change the file name of the .hgt file as it is used to position the dem.

·         Place the file in the "Globe (Arcview)" Elevation Data folder.

·         OziExplorer must be configured to use SRTM data by configuring the use of Globe Data in Elevation Configuration (see the Help file for details).  If you have not configured this path then you must do that before the height data will be used.

·         If you no longer want the original .zip then you can delete it manually using windows explorer.

GlobalMapper Users

Both compressed and uncompressed files can be loaded.

ARC/INFO or ArcView Users

Users of ARC/INFO or ArcView can display the DEM data directly after renaming the file extension from .HGT to .BIL. However, if a user needs access to the actual elevation values for analysis in ARC/INFO the DEM must be converted to an ARC/INFO grid with the command IMAGEGRID.

Other Related Web sites

·         NASA/JPL SRTM

·         NGA - National Geospatial-Intelligence Agency (previously NIMA)

·         Johnson Space Center STS-99

·         German Space Agency

·         Italian Space Agency

·         U.S. Geological Survey, EROS Data Center